Haus kaufen Mittelland

Mehrfamilienhaus Olten nah im Jura in 5 Min. im Mittelland

Mehrfamilienhaus kaufen Jura Alpensicht - mailen Sie uns für mehr Informationen.

 

Bilder und Doku folgen hier anfordern: Nebst dem MFH haben wir auch zwei EFH Haus kaufen Mittelland


Einfamilienhaus Mittelland kaufen

Aktuell: Ab Plan EFH Region Solothurn kaufen im Wasseramt SO

 

Dokumentation des EFH anfordern

 

Hinweis: Bitte die mit * gekennzeichneten Felder ausfüllen.

 

Dokumentation des EFH anfordern

 

Sie haben Interesse am Kauf eines Einfamilienhaus im Mittelland?

 

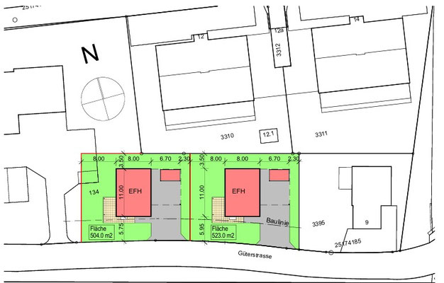
Baubeschrieb vom 08.08.2025

Neubau Einfamilienhaus, Güterstrasse 7, 4552 Derendingen

Der Baubeschrieb definiert die Ausführung, die Qualität inklusive die vorgesehenen Budgetpositionen mit deren Budgetpreisangaben. Bei Widersprüchen zwischen Plänen und Baubeschrieb geht die Definition im Baubeschrieb vor. Mehr- und Minderleistungen gegenüber den in Plänen und im Baubeschrieb festgehaltenen Grundlagen sowie Grundriss Änderungen und gestalterische Anpassungen werden auf Wunsch individuell nachofferiert und verrechnet, sofern dies die technischen Möglichkeiten und der Bauablauf es zulassen.

 

Die Käufer haben das Recht die folgenden Ausbauten individuell mitzubestimmen: - Kücheneinrichtungen - Sanitäre Apparate und Garnituren - Elektroinstallationen - Schränke - Boden- und Wandbeläge Erdarbeiten Humusabtrag und Baugrubenaushub Abtransport von überschüssigem Material Hinterfüllungsarbeiten in Schichten eingebracht inkl. Verdichtungsarbeiten Rohbau / Aussenhülle Baustelleninstallationen und Bau Abschrankungen Kellergeschoss in Beton- und Kalksandsteinmauerwerk Bodenplatte in homogen Beton als Fertigbelag Erd-, bis Obergeschoss Innenwände in Backstein Fassadenmauerwerke in Backstein/Beton mit Aussendämmung Geschossdecken in Beton Innentreppe Unter- bis Obergeschoss in Beton Etappenweise Aufstellen des Fassadengerüstes inkl. allen nötigen Geländer Sämtliche Werkleitungen wie Kanalisation, Wasser, Elektro, TV und Telefon Versickerung von Oberflächenwasser Fenster Fenster Erd- bis Obergeschoss in Kunststoff mit 3-fach Verglasung U-Wert 0.7 2 Hebeschiebe Fenster im Wohnen Fenster Untergeschoss in Kunststoff mit 2-fach Verglasung U-Wert 1.1 Eingangstüre Hauseingangstüre in Holz oder Metall mit Glasausschnitt Spenglerarbeiten Ausführung in Chromstahl oder Titanzink Brüstungsbleche, Winkelbleche, Dachabschlüsse, Einfassungen und Ablaufrohre Flachdacharbeiten Flachdach mit Dampfsperre Wärmedämmung cm 20 2- lagige Bitumen Abdichtung Flachdach begrünt Lamellen Verbundrafflamellen im Erd- und Obergeschoss aus Leichtmetall einbrennlackiert bei allen Fenstern und Fenstertüren Alle Lamellen sind elektrisch bedienbar Sonnenstoren 1 Knickarm-Sonnenstoren beim Sitzplatz, elektrisch bedienbar Elektroarbeiten Hauptverteilung im Technikraum Erdung nach Vorschrift Schalter, Steckdosen, Lampenleitungen, Telefon- und TV-Anschlüsse Multimedia Steckdosen, Steckdose auf dem Sitzplatz Raumthermostaten für die Steuerung der Bodenheizung Schalter für die Bedienung der Lamellenstoren Einbaulampen in der Küche, in den Nasszellen und im Entree/Gang werden geliefert und montiert Restliche Räume mit Deckenanschlüssen ohne Lieferung und Montage der Lampen Anschlüsse für Aussenbeleuchtung beim Sitzplatz, Autounterstand, Einstellraum und Hauseingang sind inklusive Lieferung und Montage der Lampen Installationen laut Elektroprojekt Leerrohr für spätere Photovoltaikanlage auf dem Flachdach Heizungsanlage Wärmepumpe Luft-Wasser innen aufgestellt Boiler, Warmwasseraufbereitung über Heizung Die Wärmeverteilung erfolgt über eine Niedertemperatur-Bodenheizung Steuerung mittels Aussentemperaturfühler Einzelraumregulierung mit Raumthermostaten Untergeschoss unbeheizt Als Option können die beiden Disponibel Räume beheizt und ausgebaut werden. Sanitäranlagen Sanitärapparate wie Dusche, Badewanne, Waschtisch, Spiegelschrank, Wc, Dusche Trennwände, Anschlüsse Waschmaschine, Tumbler und Küche, Gartenhahn, Armaturen und Garnituren Budgetbetrag Materialpreis Sanitärapparate Fr. 28'000.- inkl. MwSt. Das Abwasser der Bäder, WC und Küchen wird unter der Bodenplatte in die Kanalisation geführt Waschmaschine und Wäschetrockner, Budgetbetrag Fr. 4‘000.- inkl. MwSt. 2 Stück Gartenhahn im Erdgeschoss für die Umgebung Küche Kücheneinrichtungen hochwertige Qualitätskücheneinrichtungen laut Küchenprojekt Küchenrückwand in Glas Budgetbetrag Küche und Glas, Materialpreis und Montage, Fr. 35’000.- inkl. MwSt. Malerarbeiten Aussenverputz zweimal gestrichen Sitzplatz Überdachung Untersicht gestrichen Innenputz , Simsbretter und Türzargen im Erd- und Obergeschoss gestrichen Gipserarbeiten Verputzarbeiten innen: Wände im Erd- und Obergeschoss Grundputz und Abrieb 1.5 mm gestrichen Decken im Erd- und Obergeschoss Grundputz und 1 mm Spritzputz 2 Deckenbündige Vorhangschienen bei den Fenstern im Wohnen und in den Zimmer Verputzarbeiten aussen: Dämmung 18 cm, Grundputz mit Armierungsgewebe, Abrieb 2 mm gestrichen Fensterbänke in Alu Schreinerarbeiten Innentüren mit Stahlzargen und kunstharzbeschichteten Türblättern, Farbe weiss Rahmentüren im Untergeschoss Simsbretter Schrank im Entree mit offener Garderobe Schliessanlage mit 6 Schlüssel Boden- und Wandbeläge Bodenbeläge Entree/Gang, Wohnen/Essen/Kochen, Zimmer 1-4, Vorplatz, Schrankraum und Treppe Erd- bis Obergeschoss mit Parkett oder Platten Nasszellen Bodenbeläge mit Platten Wandbeläge in Bäder mit Platten Im Dusche Bereich Platten raumhoch Im Bereich Wc, Waschtisch, Badewanne Platten auf halbe Raumhöhe Treppe Unter- bis Erdgeschoss mit Zementüberzug Bodenbeläge Untergeschoss in Beton homogen Wände und Decke im Untergeschoss in Beton/Kalksandstein Budgetbetrag für Parkett, Materialpreis Fr. 90.-/m2 inkl. MwSt. längs oder quer verlegt Budgetbetrag für Boden Platten, Materialpreis Fr. 70.-/m2 inkl. MwSt. längs oder quer verlegt Budgetbetrag für Wand Platten, Materialpreis Fr. 70.-/m2 inkl. MwSt. längs oder quer verlegt Das Verlegen der Platten in den Dimensionen bis 60/60 cm ohne Mehrpreis Fugendichtungen Innere und äussere Kittfugen bei Dilatationen und Anschlüssen Unterlagsboden Trittschall- und Wärmedämmung laut Vorschriften Anhydrit Fliessestrich Unterlagsboden mm 55 Metallbauarbeiten Briefkasten Alu eloxiert Autounterstand und Einstellraum in Metall Konstruktion Verkleidung Einstellraum in Metall oder Vollkernplatten Abschliessbare Türe in Einstellraum Baureinigung Einmalige gründliche Reinigung sämtlicher Räume inkl. allen Fenster Apparate und Einbauten durch Reinigungsfirma Spülung des gesamten Kanalisationssystems Honorare Honorare für Architekt, Bauingenieur, Haustechnikingenieure und Geologe Umgebungsarbeiten Rohplanie und Feinplanie Erstellen der Grünflächen Sitzplatz mit Outdoor-Platten, Materialpreis Fr. 70.-/m2 inkl. MwSt. Das Verlegen der Platten in den Dimensionen bis 60/60 cm ohne Mehrpreis Parkplätze und Wege mit sickerfähigen Verbundsteinen Abschlüsse zu Nachbargrundstück Rasen und Bepflanzung, Pflanzenbudget Fr. 2'000.- inkl. MwSt. Baunebenkosten Einmalige Anschlussgebühren für Kanalisation, Wasser, Elektrizität, Telefon und TV Baubewilligungsgebühren, Bauprofile, Energienachweis Geometerkosten Versicherungen während der Bauzeit Schutzraum Ersatzgebühr Wasser-, Strom- und Heizkosten während der Bauzeit Bauaustrocknung Bau Wc Informationen zum Baubeschrieb In den Plänen eingetragene Möbel und Schränke sind als Einrichtungsvarianten gedacht und sind bis auf die erwähnten Schränke unter den Schreinerarbeiten im Kaufpreis nicht inbegriffen. Abweichungen und Änderungen infolge technischer Notwendigkeit oder behördlicher Anforderungen bleiben vorbehalten. Sämtliche Budgetpositionen verstehen sich Brutto inkl. MwSt. und Lieferung. Alle Arbeiten und Materialien sind bei den vom Verkäufer vorgegebenen Unternehmer zu beziehen.

 

Dokumentation des EFH anfordern mit Formular oben, danke!

 

 

Download
einfamilienhaus kaufen mittelland.pptx
Microsoft Power Point Präsentation 1.0 MB

Sie haben Interesse an einem Mehrfamilienhäuser im Wasseramt  mailen Sie uns.