Wir schätzen Ihre Liegenschaft gratis, wenn diese in den Verkauf kommt. Kontakt bitte mit dem Formular, so kann sich die richtige Fachperson, die in der Nähe von Ihrem Objekt ist, sich bei Ihnen melden! Unsere Referenzen - scrollen Sie!
EFH Solothurn nah verkauft - Mehrfamilienhaus nähe Olten mit Alpensicht verkauft
Zuletzt verkaufte Häuser im Mittelland - früher verkaufte scrollen!
Liste verkaufte Mehrfamilienhäuser Mittelland und Einfamilienhäuser Schweiz von Team Mittelland
Mehrfamilienhaus Mittelland Zuchwil Lindenweg – verkauft
Eigentumswohnung Emmental Affoltern ist verkauft
Rustico Tessin kaufen - verkauft - Sie möchten selber verkaufen
Bauernhaus im Emmental verkauft
Mehrfamilienhaus Mittelland in Langenthal verkauft
Bauernhausin Biberist ist verkauft
Wohnung Solothurn am Bucheggweg verkauft
Haus Solothurn in Aare Nähe verkauft
Atriumhaus Mittelland verkauft
Restaurant Seerose am Moossee verkauft
Wohnung Mittelland Oensingen verkauft
MFH altes Schulhaus Etziken verkauft
EFH kaufen Mittelland zentral in Etziken von Familie S. Käufer heisst gleich wie Verkäufer! verkauft
Mehrfamilienhaus Waldheim Arosa mit Bauland
Eigentumswohnung Friedheim Arosa
Bauernhaus kaufen Wasseramt Familie H. M. Etziken verkauft
Neubauen? Anbauen? Renovieren? Unsere Baupartner im Mittelland!
Das Netzwerk KMU Mittelland baut, renoviert und vermietet Ihnen auch Immobilien. Zudem sind unsere Ferienimmobilienpartner auf allen wichtigen privaten Tourismus- und Immobilienportalen der Schweiz
Das KMU Netzwerk Scheiz vermarktet auch Fewos, Chalets und Hotels, aber auch Gruppenhäuser! Besser vermieten dank den Werbeflächen am richtigen Ort. Nr. 1 werden in Ihrer Ferienregion?
Siehe z.B. Ferienwohnung Wallis mieten Skiurlaub und Ferienhaus Wallis mieten
Eine gute Immobilienbewertung ist der erste Schritt zum Verkaufen. Es gibt natürlich auch andere Gründe, seine Immobilien zu schätzen. Ihre Immobilie im Mittelland mit dem grössten Tourismus- und Immobiliennetzwerk Schweiz bewerten? Das hat viele Vorteile, nicht nur, dass Ihre Immobilie auf vielen zusätzlichen Portalen erscheint, sondern, dass Sie viel Geld sparen gegenüber dem klassischen Immobilien Verkauf auf Provision mit Grossfirmen!
2 MFH im Mittelland zentral sind in Vorbereitung zum Verkauf. Zudem zwei EFH Wasseramt zum Kaufen
Das Mehrfamilienhaus nähe Olten und Mittelland ist VERKAUFT
Wir verkaufen aktuell ein Mehrfamilienhaus in Hauenstein-Ifenthal. (4 km ins Mittelland bei Olten)
Erbaut im Jahr 1967, 12 Zimmern auf 3 Etagen Ein Investionsobjekt Investoren oder als MFH für Grossfamilien.
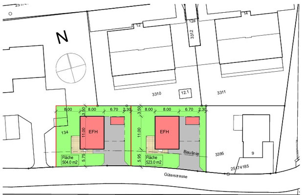
Das aktuellste Mehrfamilienhaus Mittelland nah ca. 5 Min. von Olten Zweifamilienhaus Jura kaufen
Sie haben auch eine Immobilie im Mittelland, die Sie verkaufen möchten? Kontakt Jürg Krämer 079 315 77 25
Haus kaufen nähe Olten? Zweifamilienhaus ca. 5 Automin. von Olten und Liestal. Ein Haus kaufen im Solothurner Jura? Das grosse Haus eignet sich für 2 Familien oder Wohnen und Arbeiten! Mehr Infos
Bitte das Kontakt Formular unten ausfüllen, danke. Haus kaufen nähe Olten?
EFH Solothurn nah in Biberist wurde an einen Immobuilie Solothurn Kunden verkauft Kontakt per Mail
Das EFH Wasseramt in Biberist ist VERKAUFT
Bestes Immobilienportal zum Suchen - Bestes Immobilienportal zum Verkaufen von Immobilien in der Schweiz
Sie haben ein Haus zu verkaufen im Mittelland oder Schweiz? Wir beraten Sie gratis!
Dann entscheiden Sie, wie Sie verkaufen: Mehr Beratung, um dann das Haus selber zu verkaufen - Haus verkaufen mit unserer Beratung und Begleitung oder bequem alle Arbeiten an unser Immobilienteam übergeben.
Immobilie im Mittelland oder der Schweiz verkaufen? Mit den lokalen KMU Partnern, haben Sie die Vorteile beim Inserieren mit dem KMU Netzwerk Schweiz. Verkauf auf Provision - Immobilie selber verkaufen
Kontaktieren Sie uns bitte mit dem Formular oder rufen Sie uns an.
Unser Immobilien Mittelland Portal wurde 2004 in der Region Solothurn gegründet. In der Region Solothurn, Olten, Burgdorf und Baselland können wir Sie besonders günstig bedienen, da wir sehr kurze Wege haben.
Immobilien Portal Kanton Solothurn finden Sie Referenzen, weitere auf Immobilien Solothurn, Olten Grenchen.
Welches sind die besten Immobilie Portale der Schweiz? Die Art der Immobilie entscheidet mit, welches Portal das beste ist und natürlich auch ob Sie verkaufen oder vermieten (Fewos und normale Mietwohniung ist nicht dasselbe Portal am besten)
Erfahre mehr auf dem Weiterbildungsportal Immobilie selber verkaufen Schweiz
Ist Ihre Immobilie im Mittelland?
Wenn Sie mit unseren erfahrenen Immobilienfirmen im Mittelland verkaufen, haben Sie speziell gute Konditionen. Z.B. Verkauf Einfamilienhaus Region Bern - Aarau und Emmental Aktion 1% oder Fr. 10 000.-.
Erst nach Zahlung des Käufers ist die Provision fällig und es entshen keine weiteren Kosten! TOP KMU in der Region beraten Sie gratis. Erstberatung Haus verkaufen in der Schweiz 079 315 77 25 oder per Formular.
Immobilien Mittelland und Immo-ch.com - Verkaufen Sie mit ch-info.ch Ihre Immobilie in der Schweiz
Wir verkaufen, vermieten und verwalten Immobilien seit 2004. Unsere Referenzen geben wir Ihnen gerne persönlich. Unser Immobilien Solothurn Team ist auch gleichzeitig das Leitungsteam des Immobilien Mittelland und Immobilien Schweiz Netzwerkes.
Immobilien Mittelland hat aber auch gute Immobilien Partner in den anderen Regionen der Schweiz und auch im Ausland. Wir beraten Sie gratis, wenn Sie eine Immobilie im Mittelland zentral verkaufen wollen.
Einer unserer Immobilien Experten, mit viel Erfahrung im Schätzen von Immobilien, ist in Ihrer Nähe und schätzt Ihre Immobilie gratis. (nur bei Verkaufsobjekten). Unsere Region Aarau - Oberaargau - Olten - Burgdorf (Inkl. Emmental und Entlebuch) - Bern (inkl. Immobilien im Berner Oberland und Seeland - Jurasüdfuss und Solothurn
Mit welcher Immobilien Agentur Sie dann verkaufen, entscheiden Sie! Kein Verkauf ohne unsere Offerte!
Immobilien Mittelland ist aktiv im ganzen Mittelland und auch in allen anderen Immobilienregionen der Schweiz. Die Teams in den Schweizer Alpen, Jura, Tessin und Emmental sind alles lokale KMU mit viel Erfahrung in Ihrer Region. Kontakt zum Immobilien Netzwerk Mittelland und Schweiz - bitte das Formular ausfüllen oder kontaktieren Sie unser Büro telefonisch: Frau Hofer, Herr Krämer oder Herr Bracher
Kontakt zum Team Immobilien Mittelland zentral
Gerne erklären wir Ihnen, warum Ihre Immobilie mehr gesehen wird im Internet und Sie so mehr Immobilien Kauf Anfragen bekommen werden. Immobilien Verkauf im Mittelland zentral ist ein Immobilien Seo Schweiz Projekt von ch-info.ch dem KMU Netzwerk Schweiz.
Wir verkaufen Ihr Haus im Mittelland und in der ganzen Schweiz.
Das machen doch andere Immobilien Portale auch schon?- Ja, aber unser Immobilien Portal Mittelland und ch-info.ch arbeiten anders, ausschliesslich mit guten lokalen Immobilienfirmen. Google Bewertungen und Google Positionen sind das eine, unsere geprüften Immobilienpartner sind von uns ausgewählte Top Immobilienagenturen in Ihrer Region. So sind Sie sicher den richtigen Immobilienverkäufer zu haben, der nicht mit Hilfspersonal verkauft und Sie sind auch auf ch-info.ch und seinen regionalen Immobilien Portalen der Schweiz.
Immobilien im Mittelland kaufen, verwalten, vermieten oder Bauen-Umbauen?
Unsere gut ausgewählten ch-info.ch Partner beraten Sie gratis im Mittelland und in der ganzen Schweiz. Sie wollen Ihr Haus verkaufen? Kontakt bitte mit dem Formular unten, so kann sich der richtige Ansprechpartner unseres Team bei Ihnen melden.
Ihr Verkaufsobjekt ist auf den bekannten Inseraten Immobilienportalen. Aber auch auf Immobilien Portal Mittelland - immo-ch.com - ch-info.ch und auf dem führenden Regionalportal präsent!
Haus im Mittelland verkaufen? Unsere lokalen, guten Immoblien Partnerfirmen im Mittelland beraten Sie gerne. Liegenschaftsverkauf im Mitteland und in der Schweiz mit unseren erfahrenen, regional verankerten Toppartnern! Seriös und zu guten Konditionen! Wir bieten mehr! Die Seo Haus kaufen Mittelland und die starken, regionalen zusätzlichen Immobilien Portale erhöhen die Anzahl interessierter Käufer. Netzwerk Immobilien Schweiz.
Immobilien Region Solothurn - Immobilien Olten - Immobilien Langenthal - Immobilien Burgdorf - Immobilien Seeland - Immobilien Thun - Immobilien Bern und Immobilien Jura - Immobilien Zürich - Immobilien Winterthur - Immobilien St. Gallen - Immobilien Kreuzlingen - Immobilien Schaffhausen - Immobilien Neuenburgersee - Immobilien Genfersee - Immobilien Graubünden - Immobilien Tessin - Immobilien Wallis.
Gerne vermiteln wir Ihnen eine gute Immobilienagentur in der ganzen Schweiz Immobilien Schweiz
Das Überleben als lokaler Makler oder Maklerin ist schwer und wird noch schwerer, denn wir empfehlen Ihnen nicht mit einem Makler oder Maklerin zu verkaufen, sondern immer nur mit einer regionalen Immobilienfirma, die auch das Zeigen mit Fachpersonal macht.
Einzelmakler und Einzelmaklerinnen sind ein Risiko beim Verkauf Ihrer Immobilie. Achten Sie darauf, dass ein gutes Immobilien Team Ihre Immobilie verkauft, denn was ist, wenn ein einzelner Makler oder Maklerin verunfallt oder krank wird?-
Unsere Immobilien Schweiz Partner habe alle Fachausbildungen und Erfahrung und arbeiten im Team!
Es gibt immer mehr gute Informatik Immobilien Portale, die von Banken oder Grossfirmen mit viel Geld aufgebaut wurden. Aus der Werbung kennen wir ja den ersten Preis Fr. 7500.- - dann Fr. 11 500.- und nun werden Führungen extra verrechnet. Was kommt noch?
Wieder andere verlangen nur 1%, dafür kann die Hypothek nicht zum billigeren Anbieter gewechselt werden.
Wieder andere behaupten gratis zu verkaufen, da der Käufer Sie dann bezahle! Wir raten Ihnen von solchen Lösungen die Finger zu lassen.
Was Sie am Schluss effektiv als Erlös haben zählt und wieviel Ärger Sie hatten doppelt!
Lokale Plattformen und bewährte, lokale Immobilienfirmen geben Ihnen mehr Sicherheit beim Verkaufen!
Lokale ImmobilienanbieterInnen kennen den lokalen Markt sehr gut und sind vernetzt.
Ihr Ruf ist Ihr Kapital. Unsere Partner setzen sich für Sie ein und unsere Portale sind Ihr Zusatzgewinn beim Verkaufen.
Haus zentral im Mittelland verkaufen oder kaufen? Sie finden die Immobilien Kanton Solothurn auf dem Immobilien Portal Kanton Solothurn - neues Fenster öffnen mit Immobilien Solothurn
Aktuell bauen wir die Seo auf für
Gutes Hotel kaufen im Tessin direkt vom KMU kaufen
Haus kaufen in Ungarn direkt von der Familie: Landhaus Ungarn Tennisplatz Sauna Saal, Schwimmteich